












Данные об объекте: №23245
![]() |
Название: | Продажа - Земельный участок 1305 m² на Ситонии (Халкидики) |
| Тип: | Земельный участок | |
| Стадия: | Построенное |
![]() |
Cтрана: | Греция |
| Регион: | Халкидики | |
| Местность: | Ситония |
![]() |
Кол-во комнат: |
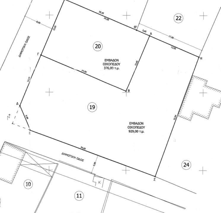
| Площадь участка: | 1305 m² |
![]() |
До моря: | 6000 m |
| До аэропорта: | 57 km |
![]() |
|
Дата последнего изменения:
18-09-2025
|
Продается земельный участок площадью 1305 кв.м. на полуострове Ситония, региона Халкидики. Состоит в рамках плана города. На территории есть: подведена вода, подведено электричество. Земельный участок имеет возможность получения разрешения на строительство. С возможностью строительства на 700 кв.м.
Заинтересовал этот либо другой объект? Компания GrekHome предлагает услугу - обзорная поездка в Грецию.
Самый большой выбор недвижимости в Греции:
Обращайтесь и Ваш персональный менеджер поможет сделать Вам правильный выбор!
Киев: |
Днепр: |
Greece: |
|||
|---|---|---|---|---|---|
+38044 223 34 45 |
+38056 789 20 07 |
Saloniki:Halkis st.8 | +302310 591431 | ||
+38097 275 33 33 |
+38098 696 39 79 |
Athens:Nikis st.43 | +302103 254150 | ||
ул. Мечникова 16 оф. 4-7 |
пр. Д. Яворницкого 5 |
Halkidiki:Nikiti str. 63088 | +3023750 20330 | ||